고관절의 골관염에 대해서 저번에 글을 적었습니다.
2024.11.23 - [정형외과/근골격 영상 공부] - hip disease_02_osteoarthritis_골관절염
hip disease_02_osteoarthritis_골관절염
고관절의 질병 중에 하나인 골관절염의 영상에 대해서 정리하려고 합니다. 1. 골관절염이란? 퇴행성 관절염으로도 알려져 있습니다. 쉽게 말해, 노화로 인해서 생긴 관절염이라고 이해할
mrna.tistory.com
원인 없이 많이 사용해서 생긴 관절염을 1차성 관절염(편의상 관절염 또는 골관절염 등으로 부름)이라고 하며, 어떠한 원인에 의해서 발생한 관절염을 2차성 관절염으로 부릅니다.
아래 그림에서처럼 2차성 관절염을 일으킬 수 있는 원인은 다양합니다. 이번에는 대퇴비구충돌증후군이라고 부르는 Femoroacetabular impingement(FAI)의 영상에 대해서 정리하려고 합니다.

1. 대퇴비구충돌증후군이란?
대퇴골과 비구가 서로 충돌하는 것을 의미합니다. 정상적인 경우에는 ball and socket joint로 움직일 때 서로 부딪히지 않지만, 크게 2가지의 이유로 발생할 수 있습니다.
(아래 그림을 참고하시면 이해가 편합니다)


- 대퇴골과 비구의 모양이 이상해서 생기는 경우가 많습니다. 대퇴골의 모양이 이상한 경우를 CAM type, 비구의 모양이 이상한 경우를 pincer type이라고 부릅니다. (좌측 슬라이드)
- 모양은 괜찮지만, 비정상적인 관절 운동을 하는 경우에 생길 수 있습니다. 대표적으로 발레나 오래 깊게 앉아있는 운동선수 등에서 관찰됩니다. (우측 슬라이드)
2. CAM type FAI ( 대퇴골의 모양이 이상한 경우)

CAM type은 대퇴골이 우측 위의 권총의 모양처럼 휘어지면서 굽은 형태를 보이는 경우를 말합니다.
그래서 흔히 pistol grip 모양이라고 부르기도 합니다.
CAM은 동력 장치에서 배웠던 CAM에서 기인한 것입니다.
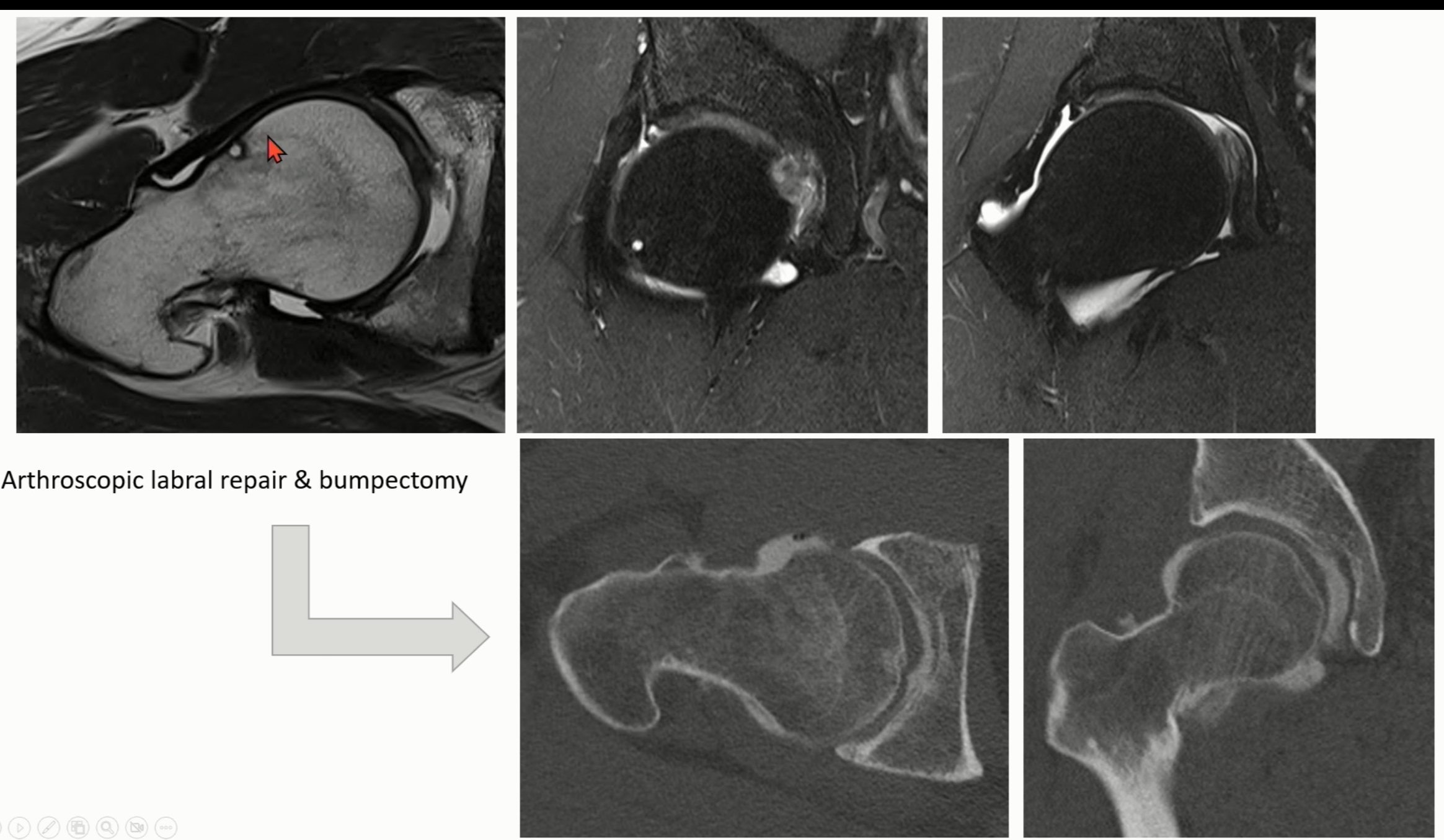
Axial 또는 modified dunn view에서 femur의 head와 neck의 사이에서 bump로 관찰됩니다.
(빨간 화살표)

CT나 MRI에서는 더 확실하게 볼 수 있습니다.
head/neck junction 부위에 cyst나 bump가 보이며, head의 구형이 소실된 모습을 볼 수 있습니다.
3. CAM type FAI의 영상학적 진단
CAM type FAI 여부는 1) Alpha angle, 2) head-neck offset를 통해서 진단할 수 있습니다.

먼저, Alpha angle은 55도 넘어가면 진단할 수 있습니다.
Alpha angle은 구형이 아닌 각도를 측정합니다. Head의 중심과 Neck의 중심을 잇는 선과 Head에서 구형이 이게 되는 지점까지의 각도로 측정합니다.

두번째로 head-neck offset은 8-10mm 이하일 때 진단할 수 있습니다.
offset가 크다는 뜻은 구가 살아있다는 뜻이기 때문에, 반대로 offset가 특정한 값 이하로 내려가면 head/neck juction에 cam type deformity가 있다는 뜻으로 이해할 수 있습니다.
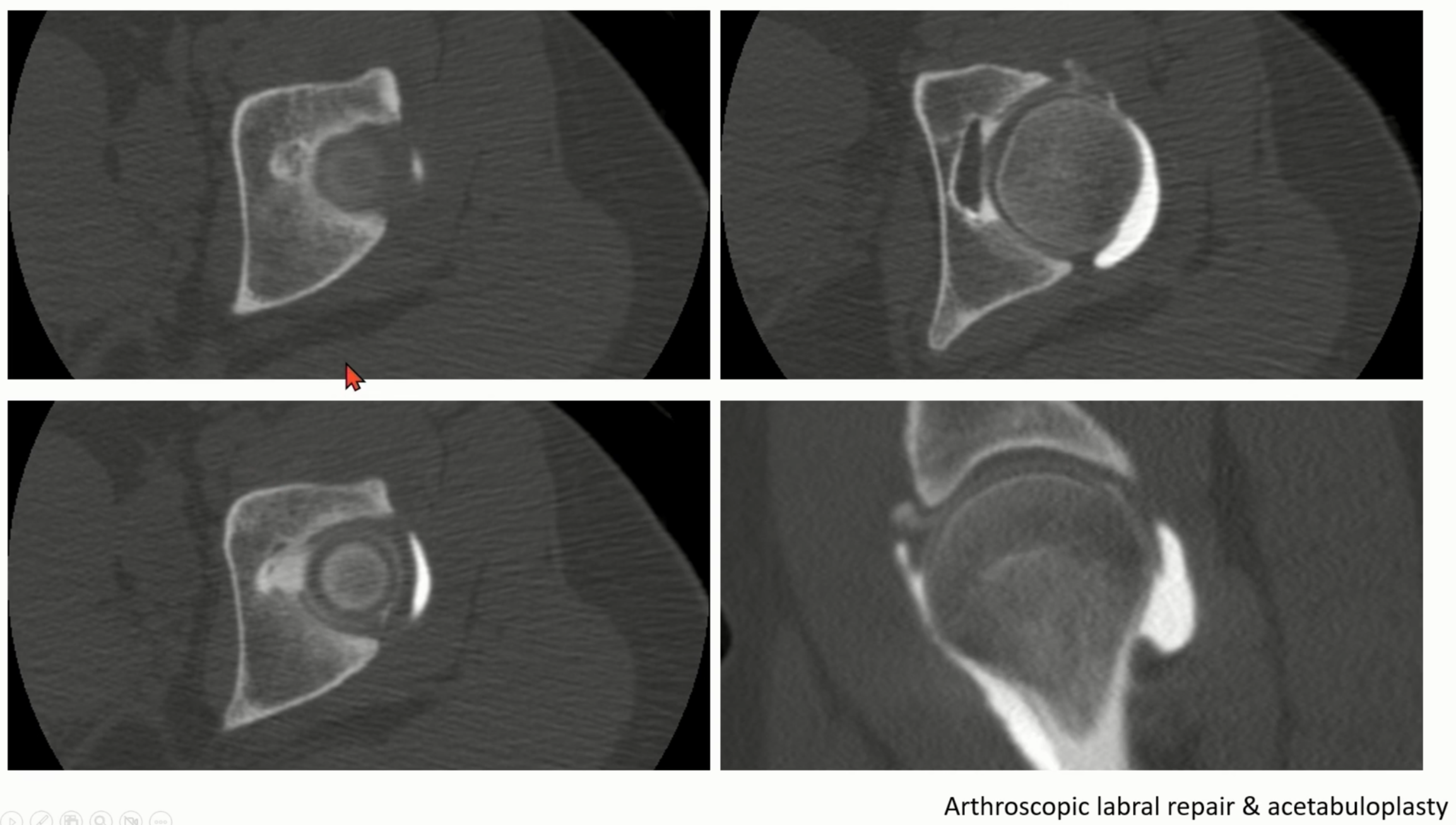
4. Pincer type FAI (비구의 모양이 이상한 경우)
Pincer는 아래 사진과 같은 공구입니다. 비구가 대퇴 골두를 감싸고 있는 형태임을 생각해보면, Pincer type이라는 용어가 비구의 문제임을 쉽게 연결지을 수 있습니다.
원래 감싸고 있는 부위보다 더 많이 감싸게 되면, 충돌이 많아지게 됩니다.
즉, pincer type FAI는 비구의 over-coverage를 뜻합니다.


Pincer type의 FAI는 영상학적으로 중요합니다.
- Coxa profunda: 비구의 깊이가 깊어짐 (좌측 그림) -> head가 ilioischial line을 안쪽으로 침범하지 않음
- Protrusio acetabuli: 대퇴가 안쪽으로 파고듬(중간 그림) -> head가 ilioischial line을 안쪽으로 침범함
지표 값은 1) center-edge angle 과 2) Acetabular index 로 평가할 수 있습니다.
비구의 덮개가 과도하려면, CE angle은 커야하고(40도 이상), Acetabular index는 음의 값을 갖아야합니다.


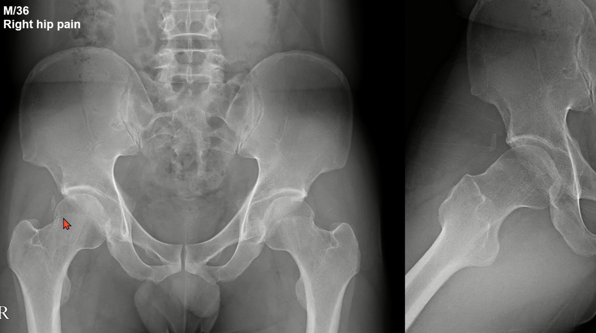
또 다른 대표적인 영상적 지표는 cross-over sign ( = figure 8 sign)과 posterior wall sign이 있습니다.
정상적인 x-ray는 좌측 슬라이드의 3번째 사진처럼 노란선(anterior wall)이 보라선(posterior wall)보다 앞에 있어야 합니다. 이런 모습을 anterversion이 있다고 합니다.
- Cross-over sign ( = figure 8 sign): 노란선이 머리쪽에서 보라선보다 외측에 있는 모양을 뜻함. 즉, retroversion이 있다는 뜻이고, 이는 over-coverage를 의미합니다
- Posterior wall sign: 보라선이 원래 있어야 하는 위치보다 외측에 있는 모양을 뜻함. 즉, anterversion이 과도하다는 뜻이고, 이 역시 over-coverage를 의미합니다.

CT나 MRI상에서는 앞에서 언급했던, retroversion의 이상을 쉽게 측정할 수 있습니다.
Labrum의 이상이나 Chondral 이상 같이 동반된 병변을 찾을 수 있습니다
Case1)



Case 2)


5. 주의할 점.

1) 알파 각은 측정 시마다 일정하지 않은 편이고, 실제로 bump가 위치한 곳은 알파각을 측정하는 곳보다 종종 위쪽에 위치할 수 있음을 염두해야 합니다.

2) 12시 방향에 정상이지만, 연골 손상으로 보이는 병변이 있음을 염두하고 보아야 합니다.
'정형외과 > 근골격 영상 공부' 카테고리의 다른 글
| Knee disease_01_Meniscus_반월상 연골판 손상 (3) | 2024.11.27 |
|---|---|
| hip disease_04_2차성 골관절염의 원인(2)_비구이형성증,대퇴골두무혈성 괴사, 연골하피로골절 (0) | 2024.11.25 |
| hip disease_02_osteoarthritis_골관절염 (0) | 2024.11.23 |
| hip disease_01_Labral tear (0) | 2024.11.21 |
| Hip joint anatomy_고관절 해부학 (0) | 2024.11.20 |
| 비구 골절_acetabulum fracture (4) | 2024.11.20 |
| 비구 골절_acetabulum fracture (1) | 2024.11.19 |
| 골반환 손상_Pelvic ring injury (0) | 2024.11.16 |